PROPERTY INFORMATION房源信息
■ 卖地 A区划 新宿区中井二丁目
- 公寓名称
- 中井卖地 A区划
- 地址
- 新宿区中井二丁目
- 路线
- 西武新宿线・大江户线 「中井」駅 徒歩6分
- 价格
- 已售
■ 备注
西武新宿线・大江户线 『中井』 站 徒步6分
大江戸线『落合南長崎』 站 徒歩9分
东西线『落合』站 徒歩12分
......................................................
・大江戸線「中井」站出发 乘车时间
「新宿」站 10分
「六本木」站 19分
■ 詳細情報
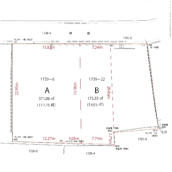
- 土地面积
- 371.08m2
- 接道方向
- 东北侧
- 土地类别
- 住宅用地
- 区域用途
- 第一种低层住居专用地域
- 建蔽率
- 50
- 容积率
- 100
- 建筑面积
- 建筑许可号
- 建筑许可取得日期
- 构造
- 建造年代(预计竣工时期)
- 入住时期
- 户型
- 套内面积
- 总户数
- 交易方式
- 卖方




